Yes, I would like more information. Please use and/or share my information with a CENTURY 21® affiliated agent to contact me about my real estate needs.
By clicking Send Message, I agree that a CENTURY 21 agent may contact me by phone or text message including by automated means about real estate services, and that I can access real estate services without providing my phone number. I acknowledge that I have read and agree to the Terms of Use and Privacy Notice.
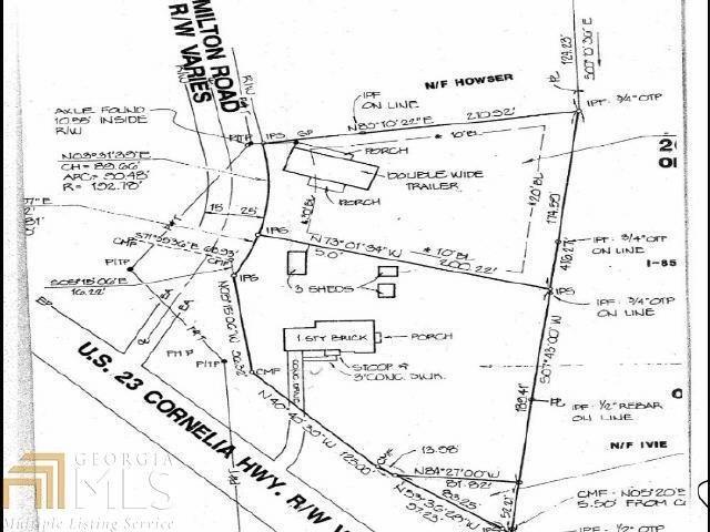
CORNER LOT! SURROUNDED BY H-B ZONING, 442 FT OF ROAD FRONTAGE, WATER & SEWER AVAILABLE. FRONTS JESSE JEWELL AND HAMILTON RD, BOTH PARCELS ARE SOLD TOGETHER. (2208 HAMILTON RD & 2285 JESSE JEWELL) CONVENIENTLY LOCATED JUST OFF OF I-985 @ EXIT 24.